×
Site Menu
Wszystko
Komputery
Aparaty fotograficzne
Drukarki
Druk 3D
Dyski twarde
Dźwięk
Grafika
Klawiatury i myszy
Laptopy
Mikrofony
Monitory i TV
Portfele i płatności
Procesory
Sieci Wi-Fi
Sprzęt mobilny
Pancerne smartfony
Zasilanie i chłodzenie
Pozostały sprzęt
Sprzęt domowy
Fotele gamingowe
Odkurzacze
Rowery
Inne
Kanały radio/TV
Technologie
Pogoda i klimat
Wszystko
Komputery
Aparaty fotograficzne
Drukarki
Druk 3D
Dyski twarde
Dźwięk
Grafika
Klawiatury i myszy
Laptopy
Mikrofony
Monitory i TV
Portfele i płatności
Procesory
Sieci Wi-Fi
Sprzęt mobilny
Pancerne smartfony
Zasilanie i chłodzenie
Pozostały sprzęt
Sprzęt domowy
Fotele gamingowe
Odkurzacze
Rowery
Inne
Kanały radio/TV
Technologie
Całodobowy mróz zapanuje w Polsce. Podajemy dokład...
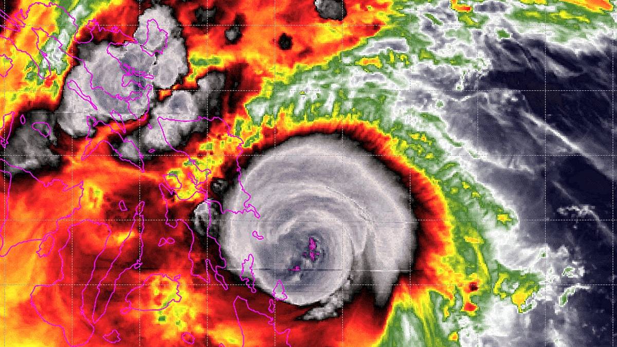
Potężny tajfun uderzy w Tajlandię. Najwyższy alert...
Listopad to ostatni dzwonek. Wykonaj 4 zabiegi. Ty...
Niż znad Atlantyku wkroczył do Polski. Prognoza po...
Pogoda na dziś - wtorek 4.11. Więcej słońca, do 14...
Życzenia imieninowe dla Karola. Wzruszą choćby naj...
Bill Gates zmienia zdanie. Czas przestać panikować...
Pogoda na jutro - wtorek 4.11. Nocą popada w częśc...
Polska blisko własnego ośrodka Europejskiej Agencj...
Co to za biały nalot na czekoladzie? Naukowcy odkr...
Inger Andersen: Chińskie postępy na rzecz ochrony ...
Wody w Wiśle było już tak mało, iż zmienili punkt ...
Za dwa tygodnie skończy się woda? Stołeczny zbiorn...
Kaloryfer gorący u góry, a zimny na dole? Zrób to ...
Filipiny szykują się na nadejście tajfunu
Długi listopadowy weekend pod Tatrami. pozostało s...
Jaka pogoda na Boże Narodzenie? Grudzień zaskoczy....
Prognoza pogody na 11 listopada 2025 w Polsce. Jak...
Nad ich głowami pojawiła się "chmura jak od linijk...
Pogoda na 5 dni. Rozgości się u nas wyż znad Bałka...
Bruksela inwestuje miliardy i wzywa do współpracy ...
PRZEkanał oskarżony o branie pieniędzy partyjnych....
Historyczne piwo z Arktyki powraca. Browar odtworz...
Prognoza burz magnetycznych na 4 listopada 2025: a...
Operacja Rosji uderza w Zielony Ład
Wtedy w Polsce spadnie śnieg. Prognoza na Boże Nar...
Pogodowy zwrot już od wtorku. Co nas czeka?
Unia Europejska nie jest już klimatycznym prymusem...
IMGW ostrzega: Ulewy na południu Polski. Zbliża si...
Domowa stacja pogodowa nie musi być droga. Zobacz ...
Haier prezentuje pralko-suszarkę X11 z pompą ciepł...
Symetria między półkulami Ziemi zanika. To wpływa ...
Pogoda w Polsce. Niż Marek. Strefa opadów będzie w...
Poniedziałkowe zamieszanie pogodowe. IMGW ostrzega...
Gwałtowne burze nad Polską – co mówią nam o klimac...
Trzęsienie ziemi w Afganistanie. Rośnie liczba ran...
Prognoza tygodniowa od 3.11.2025 do 9.11.2025
UE i Chiny łagodzą napięcia handlowe. Szczyt klima...
Ulewny deszcz. IMGW ostrzega
Było ciepło, a będzie gorąco. Napłynie zwrotnikowe...
Zielona Góra – 03.11.2025. Pogoda na dziś
Pogoda na dziś - poniedziałek, 3.11. Parasole przy...
Potężny antycyklon nad Polską. Już za kilka dni wi...
Gwałtowne wzrosty stanów wody. IMGW ostrzega
SEKRETY...
Pogoda na jutro - poniedziałek, 3.11. To będzie de...
Ostatni miesiąc sezonu. Czy przyniesie huragany?
Prawdziwe zimno dopiero nadchodzi. Jest nowa progn...
Butelki z terminem ważności. To istotny detal, a m...
Szykują się gwałtowne zmiany w pogodzie. IMGW ostr...
Pierwsza
Poprzednia
6
7
8
9
10
11
12
Następna
Ostatnia
Popularne
Elektryczny rower z Polski do kupienia taniej o 1 000 zł. Za...
6 dni temu
144
Pamięci RAM DDR5 drożeją w zastraszającym tempie. Większość ...
6 dni temu
136
Eksplozja powerbanku na lotnisku. Urządzenie przegrzało się ...
6 dni temu
127
PEDROKS prezentuje na targach Warsaw Industry Week nową masz...
6 dni temu
112
Potężny, a zarazem niewielki komputer SBC od Aaeon wyposażon...
5 dni temu
103